Stručnjaci: Uragan Melissa kao znak upozorenja da toplija mora potiču jače oluje

Stručnjaci: Uragan Melissa kao znak upozorenja da toplija mora potiču jače oluje
(Izvor: AA)

Uragan Melissa ostavio je iza sebe uništenje širom Kariba – i upozorenje za svijet.

Dok hitne službe na Haitiju, Jamajci i Kubi čiste ostatke jedne od najmoćnijih oluja ikada zabilježenih u regiji, klimatski naučnici upozoravaju: zagrijavanje voda Atlantika potiče jače, sporije i smrtonosnije uragane.

"Nakon što se zagriju u velikim razmjerima i do dubine, okeani se sporo ponovo hlade. Ta toplota sada traje godinama, a potrebni su samo 'pravi' atmosferski uslovi da se uragani zavrte", rekao je Robert Marsh, profesor okeanografije i klime na Univerzitetu u Southamptonu.

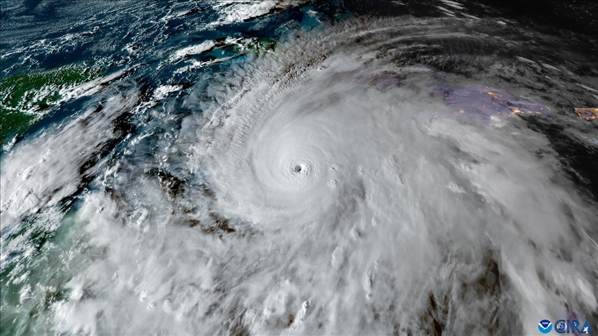
Uragan Melissa – treća oluja kategorije 5 iz 2025. i najsnažnija koja je ikada pogodila Jamajku – opustošio je zajednice širom Kariba.

Na Kubi, Ujedinjene nacije procjenjuju da je pogođeno 2,2 miliona ljudi, a prijavljena je šteta na oko 60.000 domova, 461 zdravstvenom centru i 1.552 škole. Širom Haitija i Jamajke, lokalni mediji navode da su poplave i klizišta usmrtili najmanje 75 ljudi.

"Melissa je bio najjači uragan koji je pogodio Jamajku, nadmašivši uragan Gilbert iz 1988. godine", rekao je James Baldini, profesor nauka o Zemlji na Univerzitetu u Durhamu.

"To je također bio treći najintenzivniji tropski ciklon u Atlantskom bazenu i najintenzivniji koji je pogodio kopno."

Maksimalni vjetrovi uragana Melissa dostigli su brzinu od 295 kilometara na sat, s minimalnim centralnim pritiskom od 892 milibara – što ga svrstava među treće najintenzivnije atlantske uragane ikada zabilježene. Ono što ga je učinilo posebno opasnim, rekao je Baldini, bila je brzina kojom se pojačao, povećavajući se za oko 110 kilometara na sat u 24 sata.

Marsh je dodao da su vjetrovi koji su oluja udarali u kopno dostigli rekorde stare stotinu godina.

"Kao uragan kategorije 5 koji je udarao u kopno, Melissa je bila gotovo neviđena za regiju u cijeloj zabilježenoj historiji – jedan od tri najveća vjetrova koji su udarali u kopno u posljednjem stoljeću i neviđena za Jamajku."

Sporo kretanje uništenja 

Stručnjaci kažu da Melissu nije odlikovala samo njena snaga već i njena brzina. Uragan se danima zadržavao nad kopnom, uvećavajući razaranje.

"Često se činilo da se jednostavno zaustavlja, a drugi put se kretao brzinom ljudskog hoda – oko tri kilometra na sat", objasnio je Baldini.

"Tipični uragani se kreću brzinom od 16-32 kilometara na sat na Karibima. Kombinacija ovog sporog kretanja, jakih vjetrova i obilnih padavina učinila je oluju tako katastrofalnom... Što duže uragan ostaje iznad neke lokacije, to je više poplava i više mogućnosti za udare povezane s vjetrom."

Marsh je opisao oluju kao "neobično tromu", upoređujući je s uraganom Dorian, koji je opustošio Bahame 2019. godine.

"Iznad vrlo tople vode, uragani koji se sporije kreću imaju više vremena da ojačaju", rekao je.

Kretanje uragana Melissa prema sjeveru, umjesto tipičnijeg puta prema zapadu, produžilo je izloženost preko gusto naseljenih ostrva koja se već bore s krhkom infrastrukturom.

Klimatska veza 

Oba naučnika su se složila da rastuće temperature okeana pojačavaju oluje poput Melisse.

"Dokazi su da se uragani intenziviraju s klimatskim promjenama, posebno dobijajući više snage od zagrijavanja okeana i na površini i na većoj dubini, posebno na jugu Kariba", rekao je Marsh.

U njegovom nedavno objavljenom radu navodi se da je u protekle dvije godine tropski sjeverni Atlantik doživio neuobičajeno tople temperature okeana, što je dovelo do toga da su uragani 2024. godine postali jači prije nego što su stigli do kopna.

Još jedna anomalija iz 2024. godine bila je ta što su okeanske struje premještale najtopliju vodu iz istočnih u zapadne tropske regije.

"Kombinacija izmjene toplote iz zraka u more, zajedno s okeanskim strujama, dovela je do rekordnih temperatura koje su imale posljedice za uragane", navodi se u studiji.

Tople morske površine, dodao je Baldini, glavni su izvor goriva za tropske ciklone.

"Temperatura vode mora biti oko 27 stepeni Celzijusa, ali što je voda toplija, to su uragani snažniji", objasnio je.

Citirao je nalaze iz modela oluja Imperial Collegea (IRIS), koji je procijenio da su klimatske promjene povećale količinu padavina u Melissi za 16 posto, a maksimalnu brzinu vjetra za sedam posto.

"Trenutno razmišljanje je da će uragani u budućnosti postati snažniji zbog klimatskih promjena, ali ne nužno i češći", rekao je.

Zagrijavanje okeana, rastuća prijetnja 

Gledajući unaprijed, naučnici upozoravaju da čak i ako Atlantik ostane miran tokom zime, sljedeća sezona uragana mogla bi donijeti jednako razorne oluje.

Za sljedeću sezonu, dodatni problem je slabljenje velikih struja - prvenstveno Golfske struje - koje odnose toplinu dalje od tropa, objasnio je Marsh.

"Ove struje su oslabile u posljednjih 20 godina i predviđa se da će dodatno oslabiti u narednim decenijama."

Baldini je rekao da će takvi događaji vjerovatno postati nova normalnost.

"Oluje ovog intenziteta su se dešavale i prije", rekao je, "i klimatske promjene će nastaviti proizvoditi ovakve velike oluje."

federalna.ba/AA

Uragan Melissa upozorenje Kuba klima zagrijavanje mora